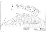
Description
Approximately 15 acres of residential development land in Weirton with public water and sewer available. Property is suitable for a single-family subdivision and has prior planning history indicating potential for up to approximately 55 homes, subject to municipal approvals. Conventional subdivision yield estimated at ~45 homes, with density upside through a Planned Unit Development (PUD) or cluster approach. Excellent opportunity for builders seeking small-lot residential development with utility access and a clear entitlement path. Buyer to verify zoning, utilities, and approvals.
-
0BEDS
-
14.9ACRES
-
0BATHS
-
01/2 BATHS
Listing information © 2026 YES-MLS.
Description
Approximately 15 acres of residential development land in Weirton with public water and sewer available. Property is suitable for a single-family subdivision and has prior planning history indicating potential for up to approximately 55 homes, subject to municipal approvals. Conventional subdivision yield estimated at ~45 homes, with density upside through a Planned Unit Development (PUD) or cluster approach. Excellent opportunity for builders seeking small-lot residential development with utility access and a clear entitlement path. Buyer to verify zoning, utilities, and approvals.
Related Properties
Listing information © 2026 YES-MLS. All rights reserved.
The data relating to real estate for sale on this website comes in part from the Internet Data Exchange program of YES-MLS. Real estate listings held by brokerage firms other than The Pinnacle Post Team | RE/MAX Crossroads Properties are marked with the Internet Data Exchange logo and detailed information about them includes the name of the listing broker(s). Information Deemed Reliable But Not Guaranteed. The photos may be altered, edited, enhanced or virtually staged. Data last updated 2026-03-12T12:08:14.293.