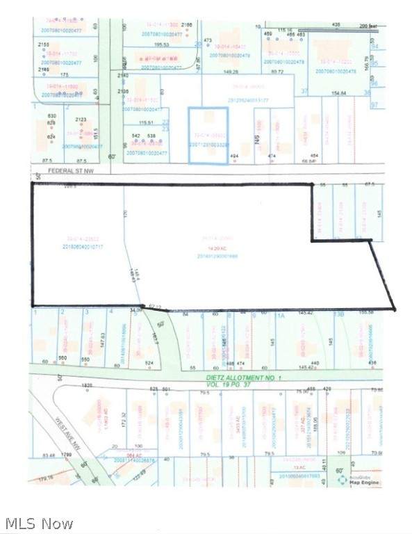
Description
0 FEDERAL ST. Has 2 parcels for this address total 5.87cres. Flat land Wooded. Seller would like to sell all 5 vacant residential lots one price. Parcel 1.) 39-356800 (address 506 Federal), 2.) 39-356850, 3.)39-368372 (494 Federal) located on Northerly side of Federal St. Parcel 4.) 39-072750, 5.) 39-108950 located on Southerly side of Federal St. Parcel 1.) .3375 Acres, 2.) .3120 Acres, 3.) .6313 Acres=1.280 Acres on Northerly side of Federal St. Parcel 4.) 1.699 Acres, + 5.) 4.177 Acres=5.876 Acres on Southerly side of Federal St. Parcels 4&5 known as 0 Federal ST. Lots are across from each other, being located on both sides of Federal St. Parcels 1,2 & 3 had 2 address those homes are gone
-
0BEDS
-
5.88ACRES
-
0BATHS
-
01/2 BATHS
Listing information © 2026 YES-MLS.
Description
0 FEDERAL ST. Has 2 parcels for this address total 5.87cres. Flat land Wooded. Seller would like to sell all 5 vacant residential lots one price. Parcel 1.) 39-356800 (address 506 Federal), 2.) 39-356850, 3.)39-368372 (494 Federal) located on Northerly side of Federal St. Parcel 4.) 39-072750, 5.) 39-108950 located on Southerly side of Federal St. Parcel 1.) .3375 Acres, 2.) .3120 Acres, 3.) .6313 Acres=1.280 Acres on Northerly side of Federal St. Parcel 4.) 1.699 Acres, + 5.) 4.177 Acres=5.876 Acres on Southerly side of Federal St. Parcels 4&5 known as 0 Federal ST. Lots are across from each other, being located on both sides of Federal St. Parcels 1,2 & 3 had 2 address those homes are gone
Listing information © 2026 YES-MLS. All rights reserved.
The data relating to real estate for sale on this website comes in part from the Internet Data Exchange program of YES-MLS. Real estate listings held by brokerage firms other than The Pinnacle Post Team | RE/MAX Crossroads Properties are marked with the Internet Data Exchange logo and detailed information about them includes the name of the listing broker(s). Information Deemed Reliable But Not Guaranteed. The photos may be altered, edited, enhanced or virtually staged. Data last updated 2026-03-06T16:08:00.98.